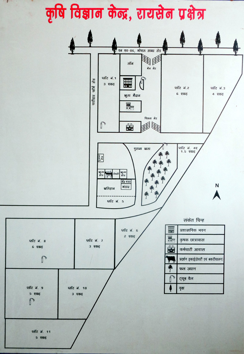
Instructional farm plan layout